Brickhill Parish Council, Bedford

Plover Way

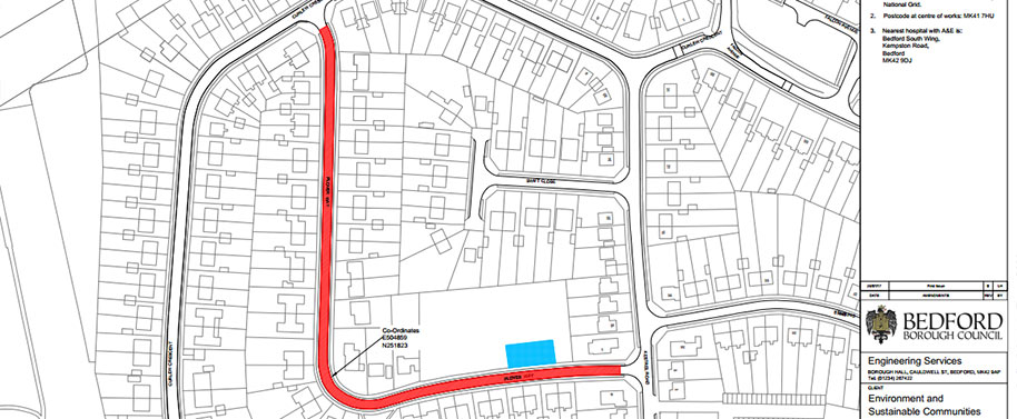
Plover Way - Carriageway resurfacing

News - 18th October 2017

Plover Way, Brickhill

The Borough Council are looking to resurface the entire length of Plover Way. Work is set to start on 29th November 2017 and is expected to take 8 days to complete. The road will be closed from 8am to 6pm and no vehicles must be parked there or they will be removed and you maybe charged! Please read this NOTICE from the Borough Council for full details and guidance.

Maps:- i) Plover Road Map ii) Map of Houses directly affected